![]() |
Raport o działce ewidencyjnej020809_2.0008.22(Informacje podstawowe - Pełny raport → dzialka.online) |
![]() |
|---|
| Numer działki | 22 |
|---|---|
| ID działki | 020809_2.0008.22 widok w portalu e-mapa |
| Obręb | Jerzykowice Wielkie |
| Położenie | województwo dolnośląskie, powiat kłodzki, gmina Lewin Kłodzki |
| Adres | Jerzykowice Wielkie 13 (57-350) |
| Pole ewidencyjne | 0.0500 ha |
| Powierzchnia geometryczna i obwód | 561 m2 (0.0561 ha), 113 m |
| Powierzchnia zabudowy | 125 m2 (22.3%) |
| Współrzędne i wysokość środka | X: 289421, Y: 306495, H: 458 m (PL-1992; PL-EVRF2007-NH) |
| Grupa rejestrowa (własność) | 7 - osoby fizyczne |
| Klasoużytki | B - mieszkaniowe |
![]() | |
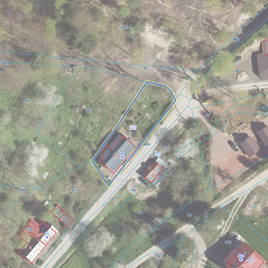
| Najbliższe otoczenie działki | |
|---|---|
![]() |
|
| Wykaz działek sąsiednich - pokaż wszystkie działki w portalu e-mapa | |
| Lp. | Działki sąsiednie | E-mapa | Raport |
|---|---|---|---|
| 1 | 020809_2.0008.20/1 | pokaż działkę | zamów raport |
| 2 | 020809_2.0008.21/1 | pokaż działkę | zamów raport |
| 3 | 020809_2.0008.88/4 | pokaż działkę | zamów raport |
| 4 | 020809_2.0008.93 | pokaż działkę | zamów raport |
| Kształt, wymiary działki i współrzędne punktów granicznych | |
|---|---|
![]() |
|
| Współrzędne punktów geograficzne oraz XY w układzie PL-1992 (EPSG:2180) | |
| Lp. | Długość | Szerokość | X (PL-1992) | Y (PL-1992) | Długość boku |
|---|---|---|---|---|---|
| 1 | 16.274232 | 50.440061 | 289 433.11 | 306 512.87 | |
| 2 | 16.274207 | 50.440093 | 289 436.74 | 306 511.24 | 4.00 |
| 3 | 16.274165 | 50.440114 | 289 439.22 | 306 508.38 | 3.80 |
| 4 | 16.274063 | 50.440125 | 289 440.72 | 306 501.18 | 7.40 |
| 5 | 16.273908 | 50.439965 | 289 423.32 | 306 489.47 | 21.00 |
| 6 | 16.273757 | 50.439821 | 289 407.66 | 306 478.17 | 19.30 |
| 7 | 16.273854 | 50.439729 | 289 397.19 | 306 484.70 | 12.30 |
| 8 | 16.274232 | 50.440061 | 289 433.11 | 306 512.87 | 45.60 |
| Zobacz wszystkie informacje | |||
|---|---|---|---|
| |||