![]() |
Raport o działce ewidencyjnej020102_2.0010.78/8(Informacje podstawowe - Pełny raport → dzialka.online) |
![]() |
|---|
| Numer działki | 78/8 |
|---|---|
| ID działki | 020102_2.0010.78/8 widok w portalu e-mapa |
| Obręb | Kraśnik Górny |
| Położenie | województwo dolnośląskie, powiat bolesławiecki, gmina Bolesławiec |
| Pole ewidencyjne | 0.1067 ha |
| Powierzchnia geometryczna i obwód | 1067 m2 (0.1067 ha), 134 m |
| Współrzędne i wysokość środka | X: 386607, Y: 264913, H: 176 m (PL-1992; PL-EVRF2007-NH) |
| Grupa rejestrowa (własność) | 7 - osoby fizyczne |
| Klasoużytki | PsIV, RIVb - pastwiska |
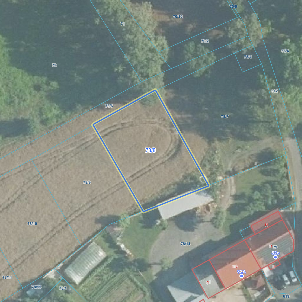
![]() | |
| Najbliższe otoczenie działki | |
|---|---|
![]() |
|
| Wykaz działek sąsiednich - pokaż wszystkie działki w portalu e-mapa | |
| Lp. | Działki sąsiednie | E-mapa | Raport |
|---|---|---|---|
| 1 | 020102_2.0010.78/14 | pokaż działkę | zamów raport |
| 2 | 020102_2.0010.78/6 | pokaż działkę | zamów raport |
| 3 | 020102_2.0010.78/7 | pokaż działkę | zamów raport |
| 4 | 020102_2.0010.78/9 | pokaż działkę | zamów raport |
| Kształt, wymiary działki i współrzędne punktów granicznych | |
|---|---|
![]() |
|
| Współrzędne punktów geograficzne oraz XY w układzie PL-1992 (EPSG:2180) | |
| Lp. | Długość | Szerokość | X (PL-1992) | Y (PL-1992) | Długość boku |
|---|---|---|---|---|---|
| 1 | 15.627005 | 51.297394 | 386 593.97 | 264 934.64 | |
| 2 | 15.626690 | 51.297712 | 386 630.41 | 264 914.32 | 41.70 |
| 3 | 15.626360 | 51.297585 | 386 617.33 | 264 890.70 | 27.00 |
| 4 | 15.626657 | 51.297296 | 386 584.20 | 264 909.90 | 38.30 |
| 5 | 15.627005 | 51.297394 | 386 593.97 | 264 934.64 | 26.60 |
| Zobacz wszystkie informacje | |||
|---|---|---|---|
| |||